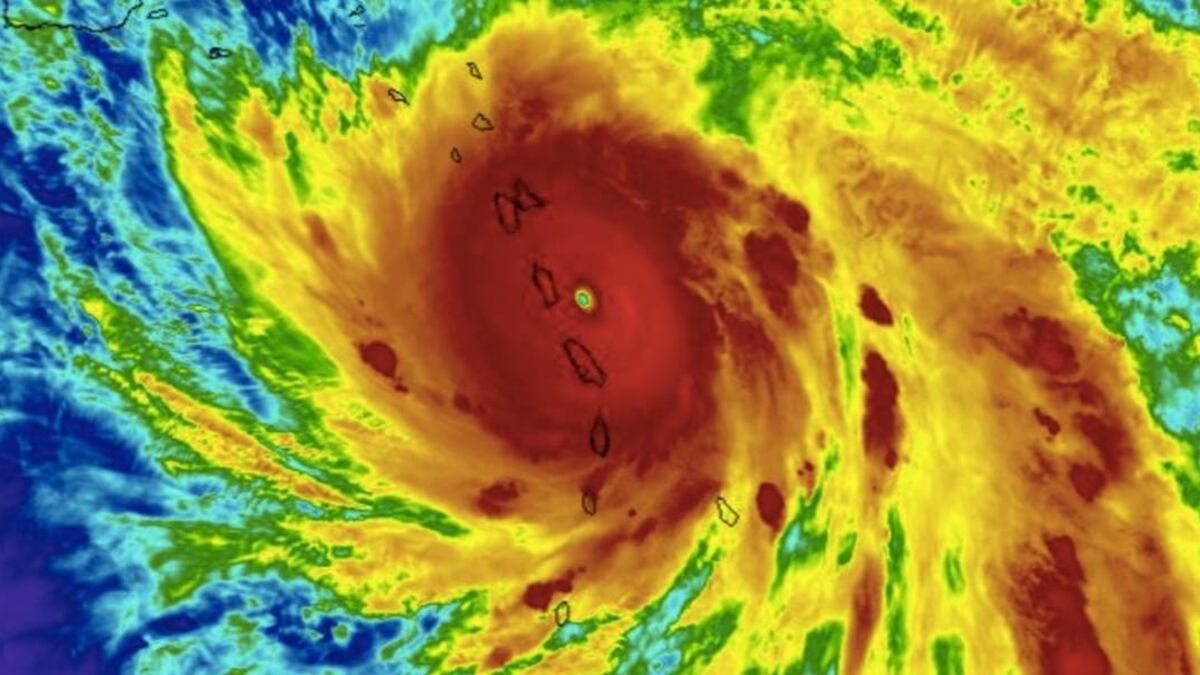
El Centro Nacional de Huracanes (NHC) en Miami informó esta noche que el huracán María alcanzó la categoría 5 de la escala the saffir-simpson hurricane.
En el boletín de las 8:00 de la noche, se detalla que el avión cazahuracanes detectó que el sistema tiene vientos de 160 millas por hora.
(AP Photo/Gerald Herbert)
El miércoles María podría golpear directamente Puerto Rico, que se libró en gran medida del paso de Irma aunque unas 700,000 personas han quedado sin electricidad, y el gobernador Ricardo Rosselló advirtió que podrían ocurrir nuevos apagones.
Los expertos vaticinaron que la tormenta arrojaría hasta 46 centímetros (18 pulgadas) de lluvia en Puerto Rico y atacaría a la isla con fuertes vientos por entre 12 y 24 horas.
Las autoridades de Puerto Rico dijeron que la Agencia Federal de Manejo de Emergencias estaba lista para traer agua potable y para ayudar a restablecer el servicio eléctrico.

